Bekanntmachung der Stadt Mendig
Bebauungsplanverfahren „Industriegebiet Mendig Erweiterung in östlicher Richtung“, 2. Änderung
Öffentliche Auslegung gem. § 3 Abs. 2 Baugesetzbuch (BauGB) im beschleunigten Verfahren gemäß § 13 a BauGB
Der Stadtrat der Stadt Mendig hat bereits in seiner öffentlichen Sitzung am 09.06.2020 den Aufstellungsbeschluss gefasst.
Weiterhin wurde beschlossen, die frühzeitige Beteiligung der Öffentlichkeit nach § 3 Abs. 1 BauGB einzuleiten. Die frühzeitige Beteiligung der Öffentlichkeit fand in der Zeit vom 14.09.2020 bis 14.10.2020 statt. Es sind keine Stellungnahmen eingegangen.
In der Sitzung am 27.09.2022 wurde der Entwurf des Bebauungsplanes gebilligt. Weiterhin wurde in dieser Sitzung die Einleitung der öffentlichen Auslegung gem. § 3 Abs. 2 BauGB des Bebauungsplanentwurfes beschlossen
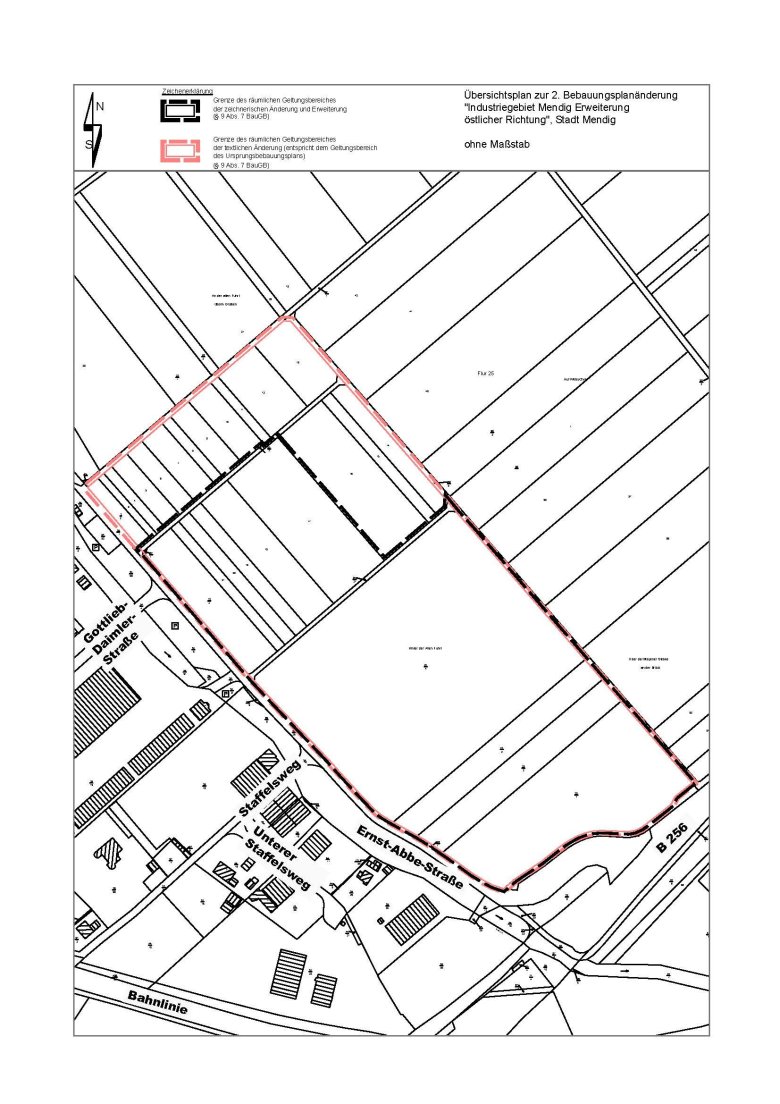
Der Geltungsbereich der Planung ergibt sich aus der Planurkunde selbst und ist im nachfolgend beigefügten, unmaßstäblichen Lageplan dargestellt
Mit der vorliegenden Bebauungsplanänderung möchte die Stadt Mendig insbesondere folgende Änderungen vornehmen:
- Verlegung bzw. Verringerung des Abstandes zur Randeingrünung auf 5 m,
- Erweiterung der überbaubaren Fläche,
- Verlegung der Stichstraße,
- im Fahrweg an der nordwestlichen Grenze des Plangebietes soll ein Geh-, Fahr- und Leitungsrecht eingetragen werden.
Das Verfahren wird im beschleunigten Verfahren nach § 13 a BauGB durchgeführt. Die Voraussetzungen sind gegeben.
Im beschleunigten Verfahren gelten die Vorschriften des vereinfachten Verfahrens nach § 13 Abs. 2 und 3 Satz 1 BauGB entsprechend.
Erhebliche Umweltauswirkungen sind nicht erkennbar.
Eine Umweltprüfung nach § 2 Abs. 4 BauGB, ein Umweltbericht gem. § 2a BauGB, die Angaben welche Arten umweltbezogener Informationen verfügbar sind (gem. § 3 Abs. 2 Satz 2 BauGB) sowie die zusammenfassende Erklärung nach § 6a Abs. 2 BauGB und § 10a Abs. 1 BauGB wird in diesem Verfahren nicht durchgeführt bzw. ist nicht notwendig (s. § 13 a Abs. 2 Nr. 1 i.V.m. § 13 Abs. 3 Satz 1 BauGB).
Der Entwurf des Bebauungsplanes, bestehend aus der Satzung, der Planzeichnung und den textlichen Festsetzungen, daneben die zugehörige Begründung mit Fachbeitrag Artenschutz, allgemeiner Vorprüfung gem. § 3 Abs. 1 Satz 1 LUVPG und Anlagen 1 und 2 zum UVPG und Vorprüfung des Einzelfalls gem. § 3 Abs. 1 Satz 1 LUVPG und Anlage 3 zum UVPG liegt in der Zeit vom
27.10.2022 bis einschließlich 28.11.2022
bei der Verbandsgemeindeverwaltung Mendig, Marktplatz 3, 56743 Mendig (Zimmer 60), während den Dienststunden:
- montags bis freitags von 8:00 Uhr bis 12:00 Uhr und
- montags, dienstags und donnerstags von 14:00 Uhr bis 16:00 Uhr,
zu jedermanns Einsicht öffentlich aus.
Ab dem 27.10.2022 kann man sich zu den genannten Zeiten, an der o.g. Stelle, über die Planung informieren.
Zusätzlich sind die Unterlagen ab dem 27.10.2022 online abrufbar unter:
Ebenso können die Unterlagen über das zentrale Internetportal des Landes www.geoportal.rlp.de eingesehen werden.
Während des o.g. Zeitraumes können Stellungnahmen schriftlich, mündlich, zur Niederschrift oder in sonstiger geeigneter Form (z.B. Fax oder E-Mail) bei der o.g. Stelle vorgebracht werden.
Es wird darauf hingewiesen, dass nicht fristgerecht abgegebene Stellungnahmen bei der Beschlussfassung über den Bebauungsplan unberücksichtigt bleiben können, gem. § 3 Abs. 2 Satz 2 BauGB i.V.m. § 4a Abs. 6 BauGB.
Mendig, 13.10.2022
gezeichnet - Siegel -
Hans Peter Ammel
Stadtbürgermeister
